Ottawa’s Bank Street renewal is a truly massive and potentially transformative project that has been nearly a decade in the making. The first public meeting was in 2016 and coincided with the release of conceptual designs. Since then, the project has slowly progressed through the design phase. Just when it seemed like the design was “final” in 2019, a decision was made to hold up the project in part so it could be built to reflect Ottawa’s rapidly changing standards for accessibility and protected cycling infrastructure, particularly its award-winning Protected Intersection Design Guide, released in 2021.
As a resident of the area who will benefit significantly from these improvements, I’m excited that finally, there is both a “final” design and a real plan for implementation, with preliminary works scheduled in 2023 and then the 3.0km corridor being implemented in two phases beginning in 2024. There’s a lot to like in the design and this post will discuss some of the biggest improvements and innovations, as well as leave some food for thought.
Yes, It’s Still a Stroad
Before getting to the good parts, I do want to acknowledge that the street is still a quintessential stroad; that is, a corridor designed to lots of through traffic while also providing unencumbered access to a multitude of businesses fronting the corridor. This is evident in features like the two-way centre left-turn lane present in the design through most of the length, double left-turn lanes at major intersections, and four through lanes consistently present.

The project could have been more transformative if the City had embraced Bank Street as a true “street” and designed it for less through traffic, slower speeds, and one lane per direction (something I’d like to see done on Merivale Road), but these decisions were made in 2016, well before the term “stroad” had really made it into common knowledge. Still, what’s proposed is likely as good as we can possibly do for a stroad, something I discussed a bit in a recent interview on the Active Towns podcast.

Now that that’s out of the way, let’s get into the designs and celebrate some of the big wins here.
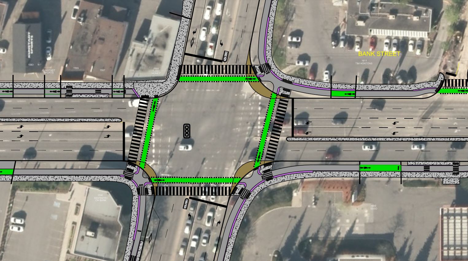
Intersections
Every signalized intersection on the corridor will be built as a protected intersection. Protected intersections improve safety for pedestrians and cyclists by giving them a head start into the intersection, provide better sightlines to turning motorists, and create shorter crossing distances in general. While these have been a component of the project from the beginning, the latest design iteration has many new positive features:
- Within corner areas and along midblock segments, pedestrians and cyclists are separated by a small curb to provide detectability for people with sight loss and discourage encroachment in general
- Guidance tactile walking surface indicators (or Guidance TWSI) are provided to orient people with sight loss in the proper direction at crossings
Left-turn hardeningis included at most intersections, which involves a raised concrete area projecting into the intersection from the centre median. This will encourage much slower left turn speeds while being mountable by occasional large trucks- Truck aprons are proposed at large intersections which, similar to left-turn hardening, carve out a tighter turning path for passenger cars while still allowing infrequent larger vehicles the necessary space to turn. You can learn lots more about truck aprons here.
- Save for just one intersection (Riverside Drive Eastbound at Bank Street), there are no right turn channels (slip lanes) proposed in the latest design. Turn channels allow free-flow movement for drivers meaning they will turn faster and with less regard for people walking and cycling.

Incremental Improvement at Bank / Heron
One of the largest intersections in the project is where Bank Street meets Heron Road, one of the city’s major east-west arteries. The various iterations of the design really demonstrate Ottawa’s evolving design approach to make intersections that are welcoming for people walking and cycling.
- The 2016 functional design included right turn “smart channels” at two of the four corners and included a major pinch for pedestrians and cyclists at the north-east corner
- The 2019 detailed design removed both of these turn channels in favour of single crossings but also added a second southbound left turn lane and a third westbound through lane (for buses only). It also turned the major pinch-point at the north-east corner into a “mixed corner”, which is really undesirable in urban environments
- The 2023 detailed design solves the mixed corner by removing the westbound right turn lane and that associated third through lane on the west side. This is a huge win for continuity of pedestrian and cycling facilities and demonstrates that reducing vehicle capacity is possible in favour of more space for people.



Side Street Crossings
One of the “stroady” features of this portion of Bank Street is that it is intersected by many local streets, something typically discouraged on an arterial road (you typically won’t find any local-arterial intersections on new roads built in the last 30 years). This was another missed opportunity at the functional stage to improve safety for all users. I would have tried to close as many of these side streets as possible where they intersect Bank Street, or at least convert them to one-way in or out (potentially an alternating pattern) to reduce the number of conflicts.
That said, there’s been some great evolution in the design approach to these as well:
- The 2016 functional design included setback crossings at side streets (which like protected intersections improve visibility) but didn’t do much to narrow the crossings or make pedestrians and cyclists more visible. Traditional “parallel bar” crosswalks were proposed rather than zebra-style crossings
- The 2019 detailed design improved this slightly by adding a zebra crosswalk but included an undesirable continuous drop curb covering both the pedestrian and bicycle crossing, like what was recently implemented on Montreal Boulevard. This was always intended as an interim measure until the City could figure out a more accessible way to design these crossings so it’s a good thing that Bank Street was delayed.
- The 2023 detailed design appears to show a curb-less crossing for cyclists which is huge for rider comfort and extends the tactile plate only across the pedestrian area, which is more helpful for people with sight loss. There are also guidance TWSI proposed at the crossings for orientation. Finally, the crossings have been narrowed with curb extensions and truck aprons are included to create a tighter turning path for passenger cars



Finally, these crossings would be a perfect opportunity to implement continuous sidewalks and bicycle paths, where vehicles ramp up and over the crossing and pedestrians and cyclists have an uninterrupted raised path. These are an emerging innovation in street design and will likely start to show up in Ottawa in the next few years, but I can appreciate that the City just isn’t quite ready to roll these out on such a big, high-profile project (and I’m not about to suggest we delay this one a few more years for that!).
Still Missing
For all of the progress that’s been made with the design, it is still not perfect.
- Transition at Billings Bridge: At the north end, the design transitions to a four-lane Billings Bridge. The City has a study underway to investigate adding bike lanes over the bridge and based on the success of the Bank Street Canal Bridge and the strong local support from Councillor Shawn Menard, I would say this change is inevitable. The design needs to be adjusted, or at least future-proofed so that it can easily transition to that change
- Billings Bridge Mall Desire Line: There is a major pedestrian desire line in front of Billings Mall, where residents of the existing apartment building cross mid-block rather than going to the nearest signal. Rather than try to support this behaviour though, the latest design proposes pedestrian fencing which is a truly inhumane solution and will only make this crossing more treacherous by channeling people to cross where they conflict more with vehicles. I appreciate that there are existing crossings close-by and adding another crossing is undesirable from a traffic perspective. One idea would be to reduce the delay for pedestrians to cross at the existing nearby transitway intersection. Right now, people walking have to wait two minutes or more to get a walk signal. With the addition of a centre refuge at this crossing, it is possible to make this a two-stage crossing allowing the signal to operate with a shorter cycle length. If people know the signal will change quickly for them, they will be more incented to use it.
- Bus Stops Far from Intersections: Bus stops are an obvious pedestrian draw, and to that end they should be located as close to signalized intersections as possible to avoid encouraging people to cross mid-block. While this has been done at some locations, there are several stops proposed beyond reasonable walking distance of a signal:
- Northbound at Ohio and Southbound at Kilborn: With 200m to the nearest signalized intersection in each direction here there’s probably a case to be made for a signalized pedestrian crossing.
- Northbound at Cecil: Obvious desire line to cross midblock from Evans Avenue to reach this stop.
- Southbound at Collins: Obvious desire line to cross midblock to reach this stop.



Let’s Get it Built!
I have a tremendous amount of admiration to the team designing this project and their patience as the City updated its guidelines. I think looking back 5 years from now we’ll be thankful the project was delayed to allow for this. The project will transform cycling in one of Ottawa’s inner suburbs and really improve the walking experience. Hopefully it will be a catalyst for better street-oriented development too.
Above all, I am so excited for this project to proceed to construction. In a project update shared by email January 31, 2023, the City communicated this timeline:
- Phase 1A (Bank Street Renewal Advanced Miscellaneous Works): Construction to begin in summer 2023, with completion late 2023. Limits: Bank Street, from Riverside Drive eastbound to Riverside Drive westbound; Sarah Billings Place; and the Sawmill Creek Culvert.
- Phase 1: Construction currently planned to begin spring 2024. Limits: Bank Street, from Riverside Drive westbound to Erie Avenue.
- Phase 2: Construction to begin following completion of Phase 1. Limits: Bank Street, from Erie Avenue to Ledbury Avenue.
Completion date remains unclear but with work starting this year and funds allocated in this year’s City budget, the project is a go!
Hope to see you at the public consultation on March 9th!
I would be all for more bike lanes and infrastructure surrounding it if the rules of the road were more heavily enforced on cyclists. Too many times have I had a green light where a cyclist just strolls through their red and throws there hands up at me. Would love to see bikes if being ridden on the street be required to have some type of license plate/registration (any type of identifier) in order to report those who are not abiding by the laws. At least then red light cameras should be able to get them too. I’ve seen many accidents be caused or almost be caused between vehicles because of a negligent cyclist. Just my two cents.
LikeLike
I saw multiple cyclists getting injured on Bank Street south of Billings Bridge recently and came looking to see how the city plans to prevent this with the redevelopment. It seems they are doubling down on making it less safe.
What terrifies me about this plan is the hopes to squeeze too much into the concrete cavern as you head south, up the hill, from Billings Bridge approaching Ohio. they have no plans to widen the retaining walls so will be squeezing in 4 lanes of traffic, 2 sidewalks, and two bike lanes! The vast majority of cyclists who regularly use Bank street in that area already use Kilborn Place and Lamira to get around the treacherous section. Tragically you need to be a regular to know to do this. The plan should either route the northbound bike lane around Lamira and Kilborn Place (downhill the whole way) or get rid of one lane like they did at the Bank Street bridge over the canal. The re-routing idea wouldn’t affect any businesses as Rooney’s lane provides safer access to the rear. Cars frequently go insanely fast in that stretch of Bank making it terribly unwelcoming to walk.
There are way too many close calls in the section of bank as it is. Trying to squeeze in more is going to end disastrously.
LikeLike
Thanks for writing this piece and explaining the evolution of the design. Enjoyed the read and am excited for this active transportation upgrade. It will be a welcomed improvement to my work commute by bicycle from Bank and Heron to downtown.
LikeLiked by 1 person